








Vă prezentăm un teren agricol de 16.900 mp (1,69 hectare) perfect poziționat în comuna Grădiștea, zona de sud a Bucureștiului, într-un cadru natural privilegiat, aproape de Mănăstirea Sfântul Nicolae Sitaru și Lacul Căldărușani.
Caracteristici Teren:
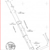
Parcela impresionează prin forma sa regulată, dreptunghiulară, cu dimensiuni ideale de 39 metri lățime și 438 metri lungime. Terenul beneficiază de două fronturi și o deschidere generoasă de 39 metri la drum, asigurând un acces excelent și multiple posibilități de exploatare. Solul de calitate, deja cultivat, demonstrează potențialul agricol real al proprietății.
Locație Strategică:
Poziționarea în zona Grădiștea oferă cel mai bun echilibru între liniștea mediului rural și accesibilitatea către București. Proprietatea se află în imediata apropiere a Mănăstirii Sfântul Nicolae Sitaru, un important obiectiv de turism religios, și la mică distanță de Lacul Căldărușani, rezervație naturală ce atrage an de an numeroși vizitatori.
Terenul este înconjurat de păduri întinse și spații verzi naturale, asigurând un mediu curat, liniștit și departe de agitația urbană, ideal pentru activități agricole sustenabile sau pentru dezvoltări turistice rurale.
Oportunități:
Cu un preț de doar 10 EUR/mp, această proprietate reprezintă o investiție excelentă pentru:
Exploatare agricolă profesionistă
Ferme ecologice sau permacultură
Proiecte agroturistice (apropierea de mănăstire și lac)
Investiție pe termen lung în resurse funciare.
Această proprietate se adresează investitorilor care caută terenuri agricole de calitate, cu infrastructură completă, într-o zonă cu potențial turistic și agroturistic real. Pentru vizionări și informații suplimentare, vă stăm la dispoziție.