








































Vă propun spre vânzare o proprietate cu potențial excelent, situată pe strada Grigore Ghica nr.1, în orașul Pantelimon, ideală atât pentru locuire, cât și pentru investiție sau dezvoltare ulterioară.
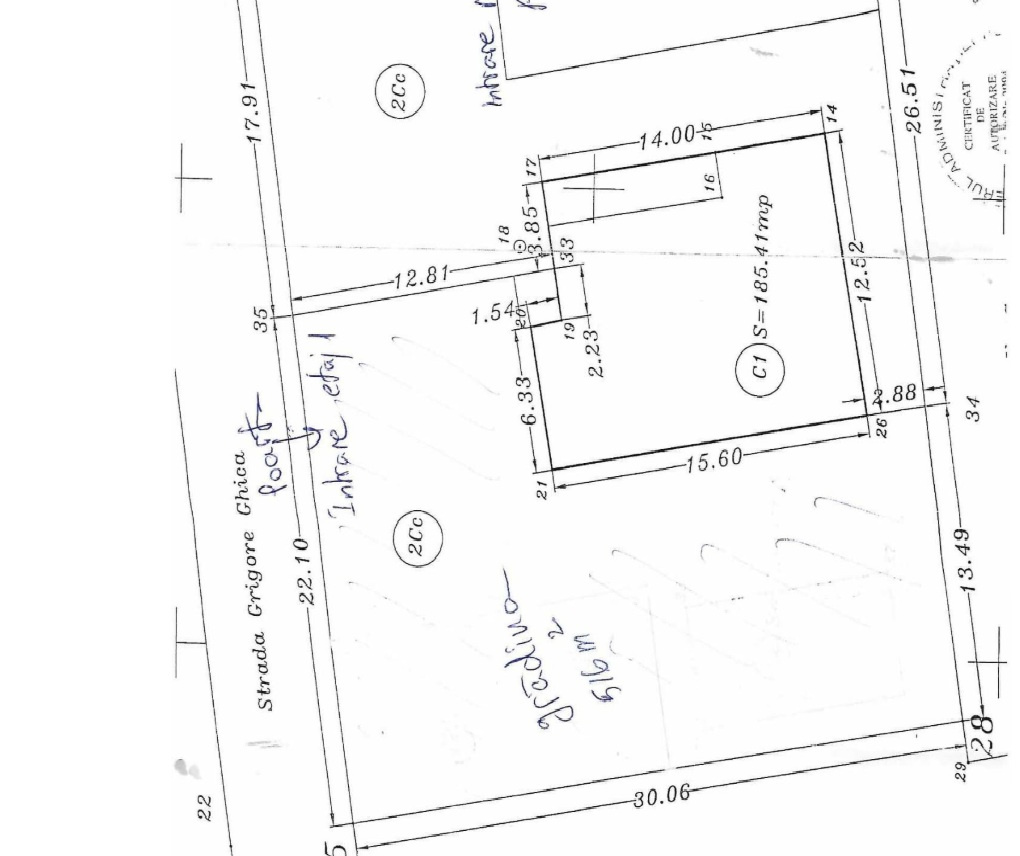
Proprietatea este amplasată pe un teren cu suprafața totală de 700 mp, având o deschidere stradală generoasă de 22,10 ml.
Din suprafața totală, 186 mp reprezintă amprenta construcției existente, iar 516 mp sunt teren liber, cu posibilitatea de delimitare și edificare a unei a doua construcții, cu regim de înălțime P+2E+M. Există astfel posibilitatea obținerii a două proprietăți distincte, ceea ce adaugă un plus important de flexibilitate investițională.
În preț este inclus și apartamentul situat la etajul 1 și mansardă, edificat pe amprenta existentă a vilei.
Apartamentul se vinde complet mobilat și utilat, dispune de centrală termică proprie și beneficiază de o compartimentare practică și generoasă. La etajul 1 regăsim un living cu acces către terasă, o bucătărie, 3 dormitoare — dintre care unul cu balcon — precum și o baie spațioasă, prevăzută cu fereastră. Mansarda completează armonios spațiul locativ, oferind încă un living, un dormitor, o baie și o uscătorie.
Construcția este realizată pe structură din cadre de beton și BCA, iar mansarda este edificată din cărămidă de beton, beneficiind de izolație termică atât la exterior, cât și la interior.
La exterior, proprietatea dispune de o curte amenajată și pavată, iar grădina oferă un ambient plăcut, cu pomi fructiferi, flori și puț cu hidrofor.
Un alt avantaj important îl reprezintă accesul la toate utilitățile necesare: curent electric, apă, canalizare, gaz, curent trifazic, CATV, telefon, internet și fibră optică.
Această proprietate reprezintă o alegere foarte bună pentru cei care caută un teren bine poziționat, cu deschidere generoasă, utilități complete și multiple posibilități de valorificare, fie pentru locuire, fie pentru investiție.